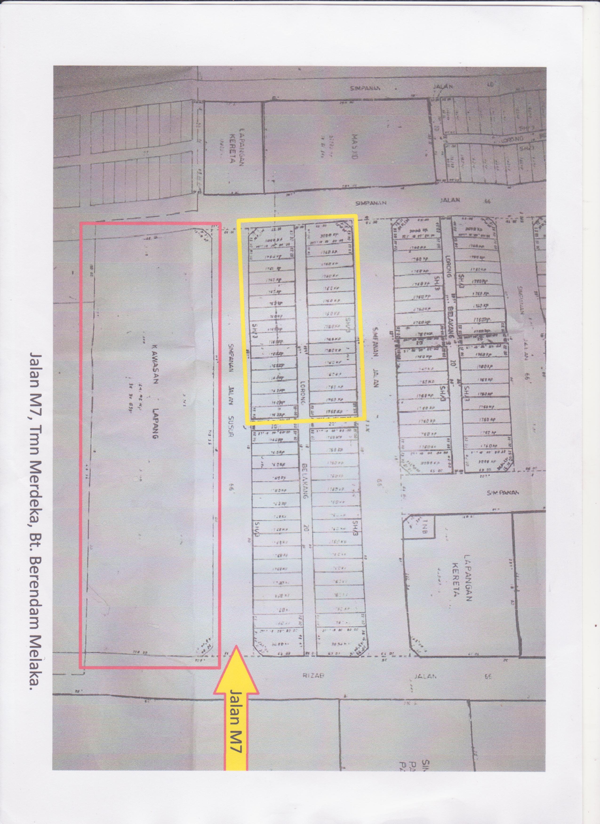
ADUN Ayer Keroh, YB Khoo Poay Tiong membangkitkan isu kerajaan BN telah merampas tanah penduduk yang terletak di Jalan M7 Taman Merdeka, Ayer Keroh.
Pihak Kerajaan Negeri Melaka telah menjual tanah kepada syarikat swasta milik penduduk. Tanah tersebut menunjukkan kawasan lapang telah diserahkan kepada pemaju iaitu majlis perbandaran.









